Riffbarsche
Gestreifter Sergeant (Abudefduf saxatilis)
Systematik
| Klasse |
Teilklasse |
Ordnung |
Unterordnung |
Familie |
| ACTINOPTERYGII (Strahlenflosser) |
TELEOSTEI (E.Knochenfische) |
PERCIFORMES (Barschartige) |
LABROIDEI (Lippfischartige) |
POMACENTRIDAE (Riffbarsche) |
| Wissenschaftlicher Name: |
Abudefduf saxatilis (LINNAEUS, 1758) |
| Synonyme: |
Abudefduf ascensionis (Fowler, 1919), Abudefduf marginatus (Bloch, 1787), Apogon quinquevittatus (Blyth, 1858), Chaetodon marginatus (Bloch, 1787), Chaetodon mauritii (Bloch, 1787), Chaetodon sargoides (Lacepède, 1802), Chaetodon saxatilis (Linnaeus, 1758), Glyphidodon saxatilis (Linnaeus, 1758), Glyphisodon biniar (Montrouzier, 1857), Glyphisodon moucharra (Lacepède, 1802), Glyphisodon saxatilis |
|
|
Allgemeine Informationen
| Namen: |
Gestreifter Sergeant, Caribbean Sergeant, Sergeant major |
| Vorkommen: |
Karibik |
| Lebensraum: |
|
| Größe: |
|
|
|
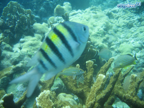
Location: Bonaire
Foto: Roger Blum (27.11.2013)
|
|
Beschreibung
|
Der Gestreifte Sergeant hat einen ovalen, seitlich abgeflachten und rauhschuppigen Körper. Die Grundfärbung ist silbrigweiß mit schwarzen Bändern. Der Rücken ist gelblich. Gestreifte Sergeantfische leben im Schwarm im oberflächennahen Riffbereich. Sie werden bis zu 20 cm lang. Das Verbreitungsgebiet erstreckt sich von Rhode Island (USA) bis nach Uruguay.
|
|
|
Arten der Gattung Abudefduf
 |
|
 |
Abudefduf abdominalis (Quoy & Gaimard, 1825)
Abudefduf bengalensis (Bloch, 1787)
Abudefduf concolor (Gill, 1862)
Abudefduf conformis Randall & Earle, 1999
Abudefduf declivifrons (Gill, 1862)
Abudefduf hoefleri (Steindachner, 1881)
Abudefduf lorenzi Hensley & Allen, 1977
Abudefduf luridus (Cuvier, 1830)
Abudefduf margariteus (Cuvier, 1830)
Abudefduf natalensis Hensley & Randall, 1983
Abudefduf notatus (Day, 1870)
Abudefduf saxatilis (Linnaeus, 1758)
Abudefduf septemfasciatus (Cuvier, 1830)
Abudefduf sexfasciatus (Lacepède, 1801)
Abudefduf sordidus (Forsskål, 1775)
Abudefduf sparoides (Quoy & Gaimard, 1825)
Abudefduf taurus (Müller & Troschel, 1848)
Abudefduf troschelii (Gill, 1862)
Abudefduf vaigiensis (Quoy & Gaimard, 1825)
Abudefduf whitleyi Allen & Robertson, 1974
Abudefduf anabantoides (Bleeker, 1847) --> Neopomacentrus anabatoides (Bleeker, 1847)
Abudefduf anabatoides (Bleeker, 1847) --> Neopomacentrus anabatoides (Bleeker, 1847)
Abudefduf analogus (Gill, 1863) --> Abudefduf taurus (Müller & Troschel, 1848)
Abudefduf annulatus (Peters, 1855) --> Chrysiptera annulata (Peters, 1855)
Abudefduf ascensionis Fowler, 1919 --> Abudefduf saxatilis (Linnaeus, 1758)
Abudefduf assimilis (Günther, 1862) --> Chrysiptera cyanea (Quoy & Gaimard, 1825)
Abudefduf atrapinna Seale, 1935 --> Plectroglyphidodon leucozonus (Bleeker, 1859)
Abudefduf aureus (Cuvier, 1830) --> Amblyglyphidodon aureus (Cuvier, 1830)
Abudefduf azurepunctatus Fowler & Bean, 1928 --> Chrysiptera oxycephala (Bleeker, 1877)
Abudefduf bankieri (Richardson, 1846) --> Neopomacentrus bankieri (Richardson, 1846)
Abudefduf behnii (Bleeker, 1847) --> Neoglyphidodon nigroris (Cuvier, 1830)
Abudefduf bimaculatus (Macleay, 1883) --> Chromis amboinensis (Bleeker, 1871)
Abudefduf biocellatus (Quoy & Gaimard, 1825) --> Chrysiptera biocellata (Quoy & Gaimard, 1825)
Abudefduf bleekeri Fowler & Bean, 1928 --> Chrysiptera bleekeri (Fowler & Bean, 1928)
Abudefduf bonang (Bleeker, 1852) --> Neoglyphidodon bonang (Bleeker, 1852)
Abudefduf caeruleolineatus Allen, 1973 --> Chrysiptera caeruleolineata (Allen, 1973)
Abudefduf caesio Seale, 1906 --> Chrysiptera glauca (Cuvier, 1830)
Abudefduf caroli Curtiss, 1938 --> Dascyllus aruanus (Linnaeus, 1758)
Abudefduf caudobimaculatus Okada & Ikeda, 1939 --> Abudefduf vaigiensis (Quoy & Gaimard, 1825)
Abudefduf cingulum (Klunzinger, 1871) --> Plectroglyphidodon leucozonus (Bleeker, 1859)
Abudefduf clarki Snyder, 1911 --> Abudefduf notatus (Day, 1870)
Abudefduf cochinensis (Day, 1865) --> Neopomacentrus taeniurus (Bleeker, 1856)
Abudefduf coelestinus (Cuvier, 1830) --> Abudefduf sexfasciatus (Lacepède, 1801)
Abudefduf coracinus Seale, 1910 --> Neoglyphidodon nigroris (Cuvier, 1830)
Abudefduf corneyi Jordan & Dickerson, 1908 --> Plectroglyphidodon leucozonus (Bleeker, 1859)
Abudefduf curacao (Bloch, 1787) --> Amblyglyphidodon curacao (Bloch, 1787)
Abudefduf cyaneus (Quoy & Gaimard, 1825) --> Chrysiptera cyanea (Quoy & Gaimard, 1825)
Abudefduf dasygenys Fowler, 1935 --> Chromis dasygenys (Fowler, 1935)
Abudefduf dicki (Liénard, 1839) --> Plectroglyphidodon dickii (Liénard, 1839)
Abudefduf dickii (Liénard, 1839) --> Plectroglyphidodon dickii (Liénard, 1839)
Abudefduf elizabethae (Fowler, 1955) --> Chrysiptera taupou (Jordan & Seale, 1906)
Abudefduf fallax (Peters, 1855) --> Neopomacentrus fallax (Peters, 1855)
Abudefduf filifer Weber, 1913 --> Neoglyphidodon nigroris (Cuvier, 1830)
Abudefduf flavipinnis Allen & Robertson, 1974 --> Chrysiptera flavipinnis (Allen & Robertson, 1974)
Abudefduf florulentus (Günther, 1862) --> Plectroglyphidodon lacrymatus (Quoy & Gaimard, 1825)
Abudefduf fuliginosus Smith, 1960 --> Neopomacentrus fuliginosus (Smith, 1960)
Abudefduf glaucus (Cuvier, 1830) --> Chrysiptera glauca (Cuvier, 1830)
Abudefduf hemicyaneus Weber, 1913 --> Chrysiptera hemicyanea (Weber, 1913)
Abudefduf imparipennis (Vaillant & Sauvage, 1875) --> Plectroglyphidodon imparipennis (Vaillant & Sauvage, 1875)
Abudefduf iwasakii Okada & Ikeda, 1939 --> Plectroglyphidodon imparipennis (Vaillant & Sauvage, 1875)
Abudefduf jordani Seale, 1906 --> Acanthochromis polyacanthus (Bleeker, 1855)
Abudefduf lacrymatus (Quoy & Gaimard, 1825) --> Plectroglyphidodon lacrymatus (Quoy & Gaimard, 1825)
Abudefduf leucogaster (Bleeker, 1847) --> Amblyglyphidodon leucogaster (Bleeker, 1847)
Abudefduf leucozona (Bleeker, 1859) --> Plectroglyphidodon leucozonus (Bleeker, 1859)
Abudefduf leucozonus (Bleeker, 1859) --> Plectroglyphidodon leucozonus (Bleeker, 1859)
Abudefduf lorentzi Hensley & Allen, 1977 --> Abudefduf lorenzi Hensley & Allen, 1977
Abudefduf marginatus (Bloch, 1787) --> Abudefduf saxatilis (Linnaeus, 1758)
Abudefduf melanocarpus Fowler & Bean, 1928 --> Neopomacentrus azysron (Bleeker, 1877)
Abudefduf melanopselion Fowler, 1918 --> Hemiglyphidodon plagiometopon (Bleeker, 1852)
Abudefduf melanopus (Bleeker, 1856) --> Neoglyphidodon melas (Cuvier, 1830)
Abudefduf melanozonatus Aoyagi, 1941 --> Plectroglyphidodon leucozonus (Bleeker, 1859)
Abudefduf melas (Cuvier, 1830) --> Neoglyphidodon melas (Cuvier, 1830)
Abudefduf metallicus Jordan & Seale, 1906 --> Neopomacentrus metallicus (Jordan & Seale, 1906)
Abudefduf miyakoe Okada & Ikeda, 1937 --> Chrysiptera brownriggii (Bennett, 1828)
Abudefduf modestus (Temminck & Schlegel, 1844) --> Chaetodon modestus Temminck & Schlegel, 1844
Abudefduf multifasciatus Seale, 1906 --> Abudefduf septemfasciatus (Cuvier, 1830)
Abudefduf nigripinnis Borodin, 1928 --> Stegastes rectifraenum (Gill, 1862)
Abudefduf paee Curtiss, 1938 --> Abudefduf septemfasciatus (Cuvier, 1830)
Abudefduf parasema Fowler, 1918 --> Chrysiptera parasema (Fowler, 1918)
Abudefduf philippinus Fowler, 1918 --> Amblyglyphidodon ternatensis (Bleeker, 1853)
Abudefduf phoenixensis Schultz, 1943 --> Plectroglyphidodon phoenixensis (Schultz, 1943)
Abudefduf quinquelineatus von Bonde, 1934 --> Abudefduf vaigiensis (Quoy & Gaimard, 1825)
Abudefduf quinquilineatus von Bonde, 1934 --> Abudefduf vaigiensis (Quoy & Gaimard, 1825)
Abudefduf rapanui Greenfield & Hensley, 1970 --> Chrysiptera rapanui (Greenfield & Hensley, 1970)
Abudefduf rex Snyder, 1909 --> Chrysiptera rex (Snyder, 1909)
Abudefduf rhomaleus Snyder, 1911 --> Neoglyphidodon melas (Cuvier, 1830)
Abudefduf rhyncholepis (Bleeker, 1869) --> Abudefduf margariteus (Cuvier, 1830)
Abudefduf richardsoni Snyder, 1909 --> Pomachromis richardsoni (Snyder, 1909)
Abudefduf sapphirus Jordan & Richardson, 1908 --> Chrysiptera cyanea (Quoy & Gaimard, 1825)
Abudefduf saxiatilis (Linnaeus, 1758) --> Abudefduf saxatilis (Linnaeus, 1758)
Abudefduf sexatilis (Linnaeus, 1758) --> Abudefduf saxatilis (Linnaeus, 1758)
Abudefduf sindonis (Jordan & Evermann, 1903) --> Plectroglyphidodon sindonis (Jordan & Evermann, 1903)
Abudefduf starcki Allen, 1973 --> Chrysiptera starcki (Allen, 1973)
Abudefduf tamaii Aoyagi, 1941 --> Stegastes nigricans (Lacepède, 1802)
Abudefduf taupou Jordan & Seale, 1906 --> Chrysiptera taupou (Jordan & Seale, 1906)
Abudefduf thoracotaeniatus Fowler & Bean, 1928 --> Neoglyphidodon thoracotaeniatus (Fowler & Bean, 1928)
Abudefduf tridentatus Clark, 1938 --> Abudefduf sordidus (Forsskål, 1775)
Abudefduf tsamaii Aoyagi, 1941 --> Stegastes nigricans (Lacepède, 1802)
Abudefduf turchesius Jordan & Seale, 1907 --> Chrysiptera cyanea (Quoy & Gaimard, 1825)
Abudefduf uniocellatus (Quoy & Gaimard, 1825) --> Chrysiptera cyanea (Quoy & Gaimard, 1825)
Abudefduf vaigensis (Quoy & Gaimard, 1825) --> Abudefduf vaigiensis (Quoy & Gaimard, 1825)
Abudefduf vargensis (Quoy & Gaimard, 1825) --> Abudefduf vaigiensis (Quoy & Gaimard, 1825)
Abudefduf xanthonotus (Bleeker, 1859) --> Neoglyphidodon melas (Cuvier, 1830)
Abudefduf xanthozona (Bleeker, 1853) --> Chrysiptera brownriggii (Bennett, 1828)
Abudefduf xanthozonus (Bleeker, 1853) --> Chrysiptera brownriggii (Bennett, 1828)
Abudefduf yamashinai Okada & Ikeda, 1937 --> Plectroglyphidodon leucozonus (Bleeker, 1859)
Abudefduf zonatus (Cuvier, 1830) --> Chrysiptera biocellata (Quoy & Gaimard, 1825)
|
|
Aal-artige, Anemonen, Anemonenfische, Anglerfische, Barrakudas, Büschelbarsche, Doktorfische, Drückerfische, Falterfische, Garnelen & Co., Geisterpfeifenfische,
Großbarsche, Haie, Hummer, Igelfische,
Kaiserfische, Kofferfische, Korallen, Krabben und Krebse, Kugelfische, Langusten, Lippfische, Meerbarben, Meeresschildkröten, Muränen, Muscheln, Nacktschnecken, Papageifische, Plattfische, Quallen, Riffbarsche, Ritterfische, Robben, Rochen, Schnapper, Schwämme, Seelöwen,
Seenadeln, Seepferdchen, Süsslippen, Seesterne, Skorpionsfische, Soldatenfische, Wale, Welse, Wimpelfische , Würmer
|
|
 |
Diese Seite lebt von der Mithilfe ihrer Nutzer!
Über Bilder noch fehlender Fischarten oder anderer Riffbewohner sowie über ergänzende Informationen und Hilfe bei der Identifizierung mir unbekannter Spezies (klicke hier) würde ich mich sehr freuen! Ganz einfach eine eMail an info@easydive24.de, ich melde mich dann schnellstmöglich!
|
Hinweis
Alle auf dieser Seite aufgeführten Arten wurden nach bestem Wissen und Gewissen bestimmt. Sollte sich ein Fehler eingeschlichen haben, würde ich mich über eine kurze Info freuen. [mehr]
|
Was ist das?
Haben Sie Schwierigkeiten bei einer Identifizierung? Senden Sie uns ein Foto an info[at]easydive24.de und wir werden es hier veröffentlichen. Vielleicht erhalten Sie schon bald eine Antwort auf ihre Frage.
[mehr]
|
|
|