Papageifische
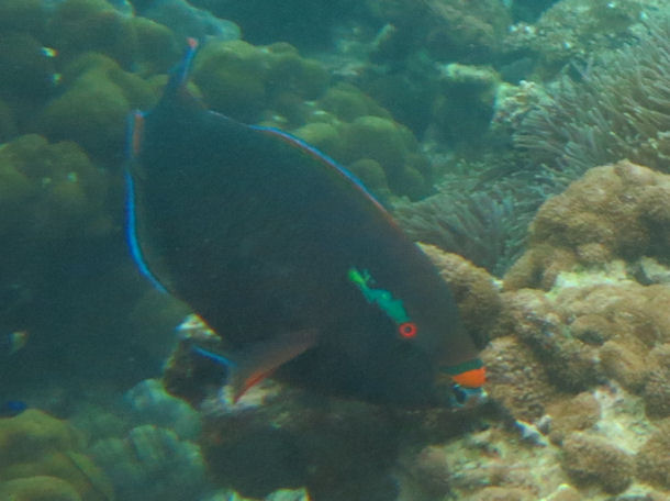
Schwarzer Papageifisch (Scarus niger)
Systematik
| Klasse |
Teilklasse |
Ordnung |
Unterordnung |
Familie |
| ACTINOPTERYGII (Strahlenflosser) |
TELEOSTEI (E.Knochenfische) |
PERCIFORMES (Barschartige) |
LABROIDEI (Lippfischartige) |
SCARIDAE (Papageifische) |
| Wissenschaftlicher Name: |
Scarus niger (Forsskål, 1775) |
| Synonyme: |
Callyodon lineolabiatus (Fowler & Bean, 1928), Callyodon madagascariensis (Steindachner, 1887), Callyodon maoricus (Jordan & Seale, 1906), Callyodon niger (Forsskål, 1775), Callyodon nuchipunctatus (Valenciennes, 1840), Pseudoscarus flavomarginatus (Kner, 1865), Pseudoscarus godeffroyi (Günther, 1909), Pseudoscarus madagascariensis (Steindachner, 1887), Pseudoscarus niger viridis (Klunzinger, 1871), Scarus chadri (Lacepède, 1802), Scarus limbatus (Valenciennes, 1840), Scarus lineolabiatus (Fowler & Bean, 1928), Scarus makaravar (Montrouzier, 1857), Scarus nuchipunctatus (Valenciennes, 1840) |
|
|
Allgemeine Informationen
| Namen: |
Schwarzer Papageifisch (D), Black parrotfish, Dusky parrotfish, Swarthy parrotfish (UK) |
| Vorkommen: |
Rotes Meer, Indischer Ozean |
| Lebensraum: |
in Tiefen bis 15 m |
| Größe: |
40 cm |
|
|
Beschreibung
Der Schwarze Papageifisch (Scarus niger) ist an den Riffen des Indischen Ozeans und des Roten Meeres anzutreffen. Die Fische weiden mit ihren schnabelartigen Zähnen die Korallenriffe ab. Sie sind – wie alle Papageifische – beliebte Fotomotive für Taucher. Die Farbvariationen der ca. 80 Papageifisch-Arten sind so vielfältig, dass man ursprünglich von ca. 350 Arten ausging. Heute geht man von ca. 80 Arten in 10 Gattungen (Bolbometopon, Calotomus, Cetoscarus, Cholorurus, Cryptotomus, Hipposcarus, Letocarus, Nicholsina, Scarus und Sparisoma) aus.
Schwarze Papageifische sind Hermaphroditen, d.h. sie können anfangs Weibchen und später Männchen sein.
|
Wir würden uns freuen, wenn Sie uns weitere Informationen über den Schwarzen Papageifisch Scarus niger ganz einfach als Kommentar zukommen lassen könnten. Vielen Dank!
If you have any additional information about the Dusky parrotfishh Scarus niger please leave us a comment below. Thank you!
|
|
|
Arten der Gattung Scarus
 |
|
 |
Scarus altipinnis (Steindachner, 1879)
Scarus arabicus (Steindachner, 1902)
Scarus caudofasciatus (Günther, 1862)
Scarus chameleon Choat & Randall, 1986
Scarus chinensis (Steindachner, 1867)
Scarus coelestinus Valenciennes, 1840
Scarus coeruleus (Edwards, 1771)
Scarus collana Rüppell, 1835
Scarus compressus (Osburn & Nichols, 1916)
Scarus dimidiatus Bleeker, 1859
Scarus dubius Bennett, 1828
Scarus falcipinnis (Playfair, 1868)
Scarus ferrugineus Forsskål, 1775
Scarus festivus Valenciennes, 1840
Scarus flavipectoralis Schultz, 1958
Scarus forsteni (Bleeker, 1861)
Scarus frenatus Lacepède, 1802
Scarus fuscocaudalis Randall & Myers, 2000
Scarus fuscopurpureus (Klunzinger, 1871)
Scarus ghobban Forsskål, 1775
Scarus globiceps Valenciennes, 1840
Scarus gracilis (Steindachner, 1869)
Scarus guacamaia Cuvier, 1829
Scarus hoefleri (Steindachner, 1881)
Scarus hypselopterus Bleeker, 1853
Scarus iseri (Bloch, 1789)
Scarus koputea Randall & Choat, 1980
Scarus longipinnis Randall & Choat, 1980
Scarus maculipinna Westneat, Satapoomin & Randall, 2007
Scarus niger Forsskål, 1775
Scarus obishime Randall & Earle, 1993
Scarus oviceps Valenciennes, 1840
Scarus ovifrons Temminck & Schlegel, 1846
Scarus perrico Jordan & Gilbert, 1882
Scarus persicus Randall & Bruce, 1983
Scarus prasiognathos Valenciennes, 1840
Scarus psittacus Forsskål, 1775
Scarus quoyi Valenciennes, 1840
Scarus rivulatus Valenciennes, 1840
Scarus rubroviolaceus Bleeker, 1847
Scarus russelii Valenciennes, 1840
Scarus scaber Valenciennes, 1840
Scarus schlegeli (Bleeker, 1861)
Scarus spinus (Kner, 1868)
Scarus taeniopterus (Desmarest, 1831)
Scarus tricolor Bleeker, 1847
Scarus trispinosus Valenciennes, 1840
Scarus vetula Bloch & Schneider, 1801
Scarus viridifucatus (Smith, 1956)
Scarus xanthopleura Bleeker, 1853
Scarus zelindae Moura, Figueiredo & Sazima, 2001
Scarus zufar Randall & Hoover, 1995
Scarus acroptilus Richardson, 1846 --> Odax acroptilus (Richardson, 1846)
Scarus aeruginosus Valenciennes, 1840 --> Scarus ferrugineus Forsskål, 1775
Scarus ahula Jenkins, 1899 --> Chlorurus perspicillatus (Steindachner, 1879)
Scarus alternans Valenciennes, 1840 --> Scarus iseri (Bloch, 1789)
Scarus amplus Ranzani, 1841 --> Sparisoma amplum (Ranzani, 1841)
Scarus apridentatus Smith --> Scarus ghobban Forsskål, 1775
Scarus aracanga Günther, 1862 --> Scarus iseri (Bloch, 1789)
Scarus arcuatus Valenciennes, 1840 --> Scarus rivulatus Valenciennes, 1840
Scarus atomarius Poey, 1861 --> Sparisoma atomarium (Poey, 1861)
Scarus atrilunula Randall & Bruce, 1983 --> Chlorurus atrilunula (Randall & Bruce, 1983)
Scarus atropectoralis Schultz, 1958 --> Scarus xanthopleura Bleeker, 1853
Scarus auritus Valenciennes, 1840 --> Leptoscarus vaigiensis (Quoy & Gaimard, 1824)
Scarus aurofrenatus Valenciennes, 1840 --> Sparisoma aurofrenatum (Valenciennes, 1840)
Scarus axillaris Steindachner, 1878 --> Sparisoma axillare (Steindachner, 1878)
Scarus azureus Meek & Hildebrand, 1928 --> Scarus ghobban Forsskål, 1775
Scarus balinensis Bleeker, 1849 --> Scarus psittacus Forsskål, 1775
Scarus bataviensis Bleeker, 1857 --> Scarus psittacus Forsskål, 1775
Scarus bennetti Valenciennes, 1840 --> Scarus dubius Bennett, 1828
Scarus bicolor Rüppell, 1829 --> Cetoscarus bicolor (Rüppell, 1829)
Scarus bleekeri (de Beaufort, 1940) --> Chlorurus bleekeri (de Beaufort, 1940)
Scarus blochii Valenciennes, 1840 --> Chlorurus japanensis (Bloch, 1789)
Scarus bottae Valenciennes, 1840 --> Leptoscarus vaigiensis (Quoy & Gaimard, 1824)
Scarus bowersi (Snyder, 1909) --> Chlorurus bowersi (Snyder, 1909)
Scarus brachialis Poey, 1861 --> Sparisoma chrysopterum (Bloch & Schneider, 1801)
Scarus brevifilis (Günther, 1909) --> Scarus altipinnis (Steindachner, 1879)
Scarus brunneus Jenkins, 1901 --> Scarus psittacus Forsskål, 1775
Scarus caeruleo-punctatus Rüppell, 1835 --> Leptoscarus vaigiensis (Quoy & Gaimard, 1824)
Scarus caerulescens Valenciennes, 1840 --> Scarus ferrugineus Forsskål, 1775
Scarus canariensis Valenciennes, 1838 --> Sparisoma cretense (Linnaeus, 1758)
Scarus capistratoides Bleeker, 1847 --> Chlorurus capistratoides (Bleeker, 1847)
Scarus capitaneus Cuvier, 1829 --> Chlorurus enneacanthus (Lacepède, 1802)
Scarus celebicus Bleeker, 1854 --> Chlorurus sordidus (Forsskål, 1775)
Scarus chadri Lacepède, 1802 --> Scarus niger Forsskål, 1775
Scarus chlorodon Jenyns, 1842 --> Scarus prasiognathos Valenciennes, 1840
Scarus chrysopterus Bloch & Schneider, 1801 --> Sparisoma chrysopterum (Bloch & Schneider, 1801)
Scarus coelastinus Valenciennes, 1840 --> Scarus coelestinus Valenciennes, 1840
Scarus coeruleopunctatus Rüppell, 1835 --> Leptoscarus vaigiensis (Quoy & Gaimard, 1824)
Scarus coerulescens Valenciennes, 1840 --> Scarus ferrugineus Forsskål, 1775
Scarus coeruleus (Bloch, 1786) --> Scarus coeruleus (Edwards, 1771)
Scarus coerulus (Bloch, 1786) --> Scarus coeruleus (Edwards, 1771)
Scarus collaris Valenciennes, 1840 --> Scarus collana Rüppell, 1835
Scarus cretensis (Linnaeus, 1758) --> Sparisoma cretense (Linnaeus, 1758)
Scarus croicensis Bloch, 1790 --> Scarus iseri (Bloch, 1789)
Scarus cyanascens Valenciennes, 1840 --> Chlorurus cyanescens (Valenciennes, 1840)
Scarus cyanescens Valenciennes, 1840 --> Chlorurus cyanescens (Valenciennes, 1840)
Scarus cyanognathus Bleeker, 1847 --> Scarus scaber Valenciennes, 1840
Scarus cyanurus Valenciennes, 1840 --> Hipposcarus harid (Forsskål, 1775)
Scarus dentiens Poey, 1861 --> Nicholsina usta usta (Valenciennes, 1840)
Scarus diadema Valenciennes, 1840 --> Scarus iseri (Bloch, 1789)
Scarus distinctus Poey, 1861 --> Sparisoma aurofrenatum (Valenciennes, 1840)
Scarus dussumieri Valenciennes, 1840 --> Scarus ghobban Forsskål, 1775
Scarus enneacanthus Lacepède, 1802 --> Chlorurus enneacanthus (Lacepède, 1802)
Scarus erythrodon Valenciennes, 1840 --> Chlorurus sordidus (Forsskål, 1775)
Scarus fasciatus Valenciennes, 1840 --> Scarus rivulatus Valenciennes, 1840
Scarus fehlmanni Schultz, 1969 --> Scarus ghobban Forsskål, 1775
Scarus flavescens Bloch & Schneider, 1801 --> Sparisoma chrysopterum (Bloch & Schneider, 1801)
Scarus flavomarginatus Valenciennes, 1840 --> Scarus iseri (Bloch, 1789)
Scarus formosus Valenciennes, 1840 --> Scarus dubius Bennett, 1828
Scarus forskalii (Klunzinger, 1871) --> Scarus psittacus Forsskål, 1775
Scarus forsteri Valenciennes, 1840 --> Scarus psittacus Forsskål, 1775
Scarus forsteri (Bleeker, 1861) --> Scarus forsteni (Bleeker, 1861)
Scarus frondosus Agassiz, 1831 --> Sparisoma frondosum (Agassiz, 1831)
Scarus frontalis Valenciennes, 1840 --> Chlorurus frontalis (Valenciennes, 1840)
Scarus galena Jordan, 1925 --> Scarus psittacus Forsskål, 1775
Scarus genazonatus Randall & Bruce, 1983 --> Chlorurus genazonatus (Randall & Bruce, 1983)
Scarus ghardaqensis Bebars, 1978 --> Scarus collana Rüppell, 1835
Scarus ghoban Forsskål, 1775 --> Scarus ghobban Forsskål, 1775
Scarus gibbus Rüppell, 1829 --> Chlorurus gibbus (Rüppell, 1829)
Scarus gilberti Jenkins, 1901 --> Scarus psittacus Forsskål, 1775
Scarus guttatus Bloch & Schneider, 1801 --> Scarus ghobban Forsskål, 1775
Scarus gymnognathos Bleeker, 1853 --> Chlorurus sordidus (Forsskål, 1775)
Scarus harid Forsskål, 1775 --> Hipposcarus harid (Forsskål, 1775)
Scarus haridoides Bleeker, 1855 --> Scarus ghobban Forsskål, 1775
Scarus hertit Valenciennes, 1840 --> Scarus psittacus Forsskål, 1775
Scarus hoplomystax Cope, 1871 --> Sparisoma radians (Valenciennes, 1840)
Scarus insulaesanctaecrucis Bloch & Schneider, 1801 --> Scarus iseri (Bloch, 1789)
Scarus iserti (Bloch, 1789) --> Scarus iseri (Bloch, 1789)
Scarus janthochir Bleeker, 1853 --> Scarus prasiognathos Valenciennes, 1840
Scarus japanensis Bloch, 1789 --> Chlorurus japanensis (Bloch, 1789)
Scarus javanicus Bleeker, 1854 --> Scarus hypselopterus Bleeker, 1853
Scarus jenkinsi Jordan & Evermann, 1903 --> Scarus psittacus Forsskål, 1775
Scarus jordani (Jenkins, 1901) --> Scarus rubroviolaceus Bleeker, 1847
Scarus lacerta Valenciennes, 1840 --> Scarus ghobban Forsskål, 1775
Scarus lauia Jordan & Evermann, 1903 --> Scarus dubius Bennett, 1828
Scarus lepidus Jenyns, 1842 --> Scarus globiceps Valenciennes, 1840
Scarus limbatus Valenciennes, 1840 --> Scarus niger Forsskål, 1775
Scarus lineolabiatus (Fowler & Bean, 1928) --> Scarus niger Forsskål, 1775
Scarus longiceps Valenciennes, 1840 --> Hipposcarus longiceps (Valenciennes, 1840)
Scarus loro Bloch & Schneider, 1801 --> Scarus coeruleus (Edwards, 1771)
Scarus lunula (Snyder, 1908) --> Scarus festivus Valenciennes, 1840
Scarus maculosus Lacepède, 1802 --> Scarus ghobban Forsskål, 1775
Scarus magrathii Bennett, 1841 --> Scarus ghobban Forsskål, 1775
Scarus makaravar Montrouzier, 1857 --> Scarus niger Forsskål, 1775
Scarus margaritus (Cartier, 1874) --> Chlorurus sordidus (Forsskål, 1775)
Scarus marshalli Schultz, 1958 --> Scarus ferrugineus Forsskål, 1775
Scarus micrognathos Bleeker, 1847 --> Scarus rivulatus Valenciennes, 1840
Scarus microrhinos Bleeker, 1854 --> Chlorurus microrhinos (Bleeker, 1854)
Scarus moensi Bleeker, 1860 --> Scarus hypselopterus Bleeker, 1853
Scarus muricatus Valenciennes, 1840 --> Bolbometopon muricatum (Valenciennes, 1840)
Scarus mutabilis Lowe, 1838 --> Sparisoma cretense (Linnaeus, 1758)
Scarus naevius Valenciennes, 1840 --> Leptoscarus vaigiensis (Quoy & Gaimard, 1824)
Scarus nigar Forsskål, 1775 --> Scarus niger Forsskål, 1775
Scarus nigricans Valenciennes, 1840 --> Chlorurus sordidus (Forsskål, 1775)
Scarus noyesi Heller & Snodgrass, 1903 --> Scarus ghobban Forsskål, 1775
Scarus nuchalis Poey, 1860 --> Scarus coeruleus (Edwards, 1771)
Scarus nuchipunctatus Valenciennes, 1840 --> Scarus niger Forsskål, 1775
Scarus obtusus Poey, 1860 --> Scarus coeruleus (Edwards, 1771)
Scarus oedema (Snyder, 1909) --> Chlorurus oedema (Snyder, 1909)
Scarus oktodon (Bleeker, 1861) --> Scarus psittacus Forsskål, 1775
Scarus pectoralis Valenciennes, 1840 --> Scarus scaber Valenciennes, 1840
Scarus pepo Bennett, 1830 --> Scarus ghobban Forsskål, 1775
Scarus perspicillatus Steindachner, 1879 --> Chlorurus perspicillatus (Steindachner, 1879)
Scarus pleianus Poey, 1861 --> Scarus guacamaia Cuvier, 1829
Scarus prasiognathus Valenciennes, 1840 --> Scarus prasiognathos Valenciennes, 1840
Scarus pronus Fowler, 1900 --> Scarus globiceps Valenciennes, 1840
Scarus pulchellus Rüppell, 1835 --> Cetoscarus bicolor (Rüppell, 1829)
Scarus pullus Forster, 1801 --> Odax pullus (Forster, 1801)
Scarus punctulatus Valenciennes, 1840 --> Scarus iseri (Bloch, 1789)
Scarus purpureus Forsskål, 1775 --> Thalassoma purpureum (Forsskål, 1775)
Scarus purpureus Valenciennes, 1840 --> Chlorurus sordidus (Forsskål, 1775)
Scarus pyrrhurus (Jordan & Seale, 1906) --> Chlorurus japanensis (Bloch, 1789)
Scarus pyrrostethus Richardson, 1846 --> Scarus ghobban Forsskål, 1775
Scarus qlobiceps Valenciennes, 1840 --> Scarus globiceps Valenciennes, 1840
Scarus quinquevittatus Lay & Bennett, 1839 --> Thalassoma quinquevittatum (Lay & Bennett, 1839)
Scarus radians Valenciennes, 1840 --> Sparisoma radians (Valenciennes, 1840)
Scarus randalli Schultz, 1958 --> Scarus frenatus Lacepède, 1802
Scarus rhoduropterus (Bleeker, 1861) --> Chlorurus troschelii (Bleeker, 1853)
Scarus rivulatoides Bleeker, 1847 --> Scarus rivulatus Valenciennes, 1840
Scarus rivulatus (Forsskål, 1775) --> Siganus rivulatus Forsskål, 1775
Scarus rostratus Poey, 1860 --> Scarus coelestinus Valenciennes, 1840
Scarus rubiginoides Guichenot, 1865 --> Sparisoma cretense (Linnaeus, 1758)
Scarus rubiginosus Valenciennes, 1840 --> Sparisoma cretense (Linnaeus, 1758)
Scarus rubripinnis Valenciennes, 1840 --> Sparisoma rubripinne (Valenciennes, 1840)
Scarus rubrofasciatus (Smith, 1956) --> Scarus caudofasciatus (Günther, 1862)
Scarus rubronotatus Valenciennes, 1840 --> Leptoscarus vaigiensis (Quoy & Gaimard, 1824)
Scarus russelli Valenciennes, 1840 --> Scarus russelii Valenciennes, 1840
Scarus scabriusculus Valenciennes, 1840 --> Scarus ghobban Forsskål, 1775
Scarus sexvittatus Rüppell, 1835 --> Scarus frenatus Lacepède, 1802
Scarus siculus Cocco, 1846 --> Sparisoma cretense (Linnaeus, 1758)
Scarus siganus Forsskål, 1775 --> Siganus rivulatus Forsskål, 1775
Scarus singaporensis Bleeker, 1852 --> Scarus prasiognathos Valenciennes, 1840
Scarus sordidus Forsskål, 1775 --> Chlorurus sordidus (Forsskål, 1775)
Scarus spilurus Valenciennes, 1840 --> Chlorurus sordidus (Forsskål, 1775)
Scarus spinidens Guichenot, 1865 --> Sparisoma axillare (Steindachner, 1878)
Scarus spinidens Quoy & Gaimard, 1824 --> Calotomus spinidens (Quoy & Gaimard, 1824)
Scarus squalidus Poey, 1860 --> Sparisoma chrysopterum (Bloch & Schneider, 1801)
Scarus stellatus Forsskål, 1775 --> Siganus stellatus (Forsskål, 1775)
Scarus strigatus Günther, 1862 --> Sparisoma strigatum (Günther, 1862)
Scarus strongylocephalus Bleeker, 1854 --> Chlorurus strongylocephalus (Bleeker, 1854)
Scarus sumbawensis Bleeker, 1848 --> Chlorurus sordidus (Forsskål, 1775)
Scarus taeniurus Valenciennes, 1840 --> Scarus psittacus Forsskål, 1775
Scarus toshi Whitley, 1933 --> Scarus ghobban Forsskål, 1775
Scarus trilobatus Lacepède, 1802 --> Scarus coeruleus (Edwards, 1771)
Scarus troschelii Bleeker, 1853 --> Chlorurus troschelii (Bleeker, 1853)
Scarus truncatus Poey, 1868 --> Sparisoma rubripinne (Valenciennes, 1840)
Scarus turchesius Valenciennes, 1840 --> Scarus guacamaia Cuvier, 1829
Scarus vaigiensis Quoy & Gaimard, 1824 --> Leptoscarus vaigiensis (Quoy & Gaimard, 1824)
Scarus variegatus Valenciennes, 1840 --> Chlorurus sordidus (Forsskål, 1775)
Scarus venosus Valenciennes, 1840 --> Scarus psittacus Forsskål, 1775
Scarus vermiculatus (Fowler & Bean, 1928) --> Scarus frenatus Lacepède, 1802
Scarus viridescens Rüppell, 1835 --> Calotomus viridescens (Rüppell, 1835)
Scarus viridifurcatus (Smith, 1956) --> Scarus viridifucatus (Smith, 1956)
Scarus viridis Bonnaterre, 1788 --> Sparisoma viride (Bonnaterre, 1788)
Scarus viridis Bloch, 1790 --> Chlorurus japanensis (Bloch, 1789)
|
|
Aal-artige, Anemonen, Anemonenfische, Anglerfische, Barrakudas, Büschelbarsche, Doktorfische, Drückerfische, Falterfische, Garnelen & Co., Geisterpfeifenfische,
Großbarsche, Haie, Hummer, Igelfische,
Kaiserfische, Kofferfische, Korallen, Krabben und Krebse, Kugelfische, Langusten, Lippfische, Meerbarben, Meeresschildkröten, Muränen, Muscheln, Nacktschnecken, Papageifische, Plattfische, Quallen, Riffbarsche, Ritterfische, Robben, Rochen, Schnapper, Schwämme, Seelöwen,
Seenadeln, Seepferdchen, Süsslippen, Seesterne, Skorpionsfische, Soldatenfische, Wale, Welse, Wimpelfische , Würmer
|
|
 |
Diese Seite lebt von der Mithilfe ihrer Nutzer!
Über Bilder noch fehlender Fischarten oder anderer Riffbewohner sowie über ergänzende Informationen und Hilfe bei der Identifizierung mir unbekannter Spezies (klicke hier) würde ich mich sehr freuen! Ganz einfach eine eMail an info@easydive24.de, ich melde mich dann schnellstmöglich!
|
Hinweis
Alle auf dieser Seite aufgeführten Arten wurden nach bestem Wissen und Gewissen bestimmt. Sollte sich ein Fehler eingeschlichen haben, würde ich mich über eine kurze Info freuen. [mehr]
|
Was ist das?
Haben Sie Schwierigkeiten bei einer Identifizierung? Senden Sie uns ein Foto an info[at]easydive24.de und wir werden es hier veröffentlichen. Vielleicht erhalten Sie schon bald eine Antwort auf ihre Frage.
[mehr]
|
|
|