Igelfische
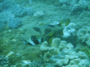
Masken-Igelfisch (Diodon liturosus)
Systematik
| Klasse |
Teilklasse |
Ordnung |
Unterordnung |
Familie |
| ACTINOPTERYGII |
|
TETRAODONTIFORMES |
|
DIODONTIDAE |
| Wissenschaftlicher Name: |
Diodon liturosus (SHAW, 1804) |
| Synonyme: |
Diodon bleekeri (Günther, 1910), Diodon maculatus (Duméril, 1855) |
|
|
Allgemeine Informationen
| Namen: |
Masken-Igelfisch (D), Masked porcupinefish (E), Black-blotched porcupinefish (E) |
| Vorkommen: |
Indischer Ozean, Pazifik |
| Lebensraum: |
gewöhnlich an Riffen in Tiefen von 15 bis 30 Meter Tiefe |
| Größe: |
bis 65 cm |
|
|
|
|
Location: Seychellen
Mit freundlicher Genehmigung: Stefan Zawodsky
|
|
|
Beschreibung
|
Der Masken-Igelfisch (Diodon liturosus) ist ein Fisch aus der Familie der Igelfische (Diodontidae). Den Namen verdankt der Fisch seinen großen, kräftigen Stacheln am Körper und der charakteristischen Fleckenzeichnung, der einer Maske ähnelt. Bei Gefahr kann sich der Masken-Igelfisch aufblasen. Dabei pumpt er sich mit Wasser auf, so dass sich die Stacheln senkrecht vom Körper aufrichten. In dieser abschreckenden Abwehrhaltung sind sie nur von wenigen großen Fischen verschlingbar. Der Masken-Igelfisch wird bis zu 65 cm groß.
|
|
|
Arten der Gattung Diodon
 |
|
 |
Diodon eydouxii (Brisout de Barneville, 1846)
Diodon holocanthus (Linnaeus, 1758)
Diodon hystrix (Linnaeus, 1758)
Diodon liturosus (Shaw, 1804)
Diodon nicthemerus (Cuvier, 1818)
Diodon antennatus Cuvier, 1816 --> Chilomycterus antennatus (Cuvier, 1816)
Diodon armillatus (Whitley, 1933) --> Diodon hystrix (Linnaeus, 1758)
Diodon asper Cuvier, 1818 --> Arothron stellatus (Anonymous, 1798)
Diodon atringa Linnaeus, 1758 --> Chilomycterus atringa (Linnaeus, 1758)
Diodon bertolettii de Lema, de Lucena, Saenger & De Oliveira, 1979 --> Diodon eydouxii Brisout de Barneville, 1846
Diodon bleekeri (Günther, 1910) --> Diodon liturosus (Shaw, 1804)
Diodon brachiatus Bloch & Schneider, 1801 --> Diodon hystrix Linnaeus, 1758
Diodon caeruleus Quoy & Gaimard, 1824 --> Cyclichthys orbicularis (Bloch, 1785)
Diodon calori Bianconi, 1854 --> Lophodiodon calori (Bianconi, 1854)
Diodon carinatus Mitchill, 1828 --> Mola mola (Linnaeus, 1758)
Diodon dimidiatus Walbaum, 1792 --> Ranzania laevis (Pennant, 1776)
Diodon geometricus Bloch & Schneider, 1801 --> Chilomycterus geometricus (Bloch & Schneider, 1801)
Diodon histrix Linnaeus, 1758 --> Diodon hystrix Linnaeus, 1758
Diodon holacanthus (Linnaeus, 1758( --> Diodon holocanthus (Linnaeus, 1758)
Diodon hystrax Linnaeus, 1758 --> Diodon hystrix Linnaeus, 1758
Diodon hystris Linnaeus, 1758 --> Diodon hystrix Linnaeus, 1758
Diodon jaculiferus Cuvier, 1818 --> Tragulichthys jaculiferus (Cuvier, 1818)
Diodon literosus Shaw, 1804 --> Diodon liturosus Shaw, 1804
Diodon lituratus Shaw, 1804 --> Diodon liturosus Shaw, 1804
Diodon maculatus Duméril, 1855 --> Diodon liturosus Shaw, 1804
Diodon maculifer (Kaup, 1855) --> Diodon holocanthus (Linnaeus, 1758)
Diodon melanopsis Kaup, 1855 --> Diodon eydouxii Brisout de Barneville, 1846
Diodon mola Pallas, 1770 --> Mola mola (Linnaeus, 1758)
Diodon multimaculatus (Cuvier, 1818) --> Diodon holocanthus (Linnaeus, 1758)
Diodon novemaculatus (Cuvier, 1818) --> Diodon holocanthus (Linnaeus, 1758)
Diodon novemmaculatus Cuvier, 1818 --> Diodon holocanthus Linnaeus, 1758
Diodon nudifrons Jenkins, 1903 --> Diodon hystrix Linnaeus, 1758
Diodon nummularis Walbaum, 1792 --> Mola mola (Linnaeus, 1758)
Diodon nycthemerus Cuvier, 1818 --> Diodon nicthemerus Cuvier, 1818
Diodon orbicularis Bloch, 1785 --> Cyclichthys orbicularis (Bloch, 1785)
Diodon paraholocanthus Kotthaus, 1979 --> Diodon holocanthus Linnaeus, 1758
Diodon pilosus Mitchill, 1815 --> Diodon holocanthus Linnaeus, 1758
Diodon punctatus Cuvier, 1818 --> Diodon hystrix Linnaeus, 1758
Diodon quadrimaculatus Cuvier, 1818 --> Diodon holocanthus Linnaeus, 1758
Diodon reticulatus Linnaeus, 1758 --> Chilomycterus reticulatus (Linnaeus, 1758)
Diodon rivulatus Cuvier, 1818 --> Chilomycterus schoepfii (Walbaum, 1792)
Diodon schoepfii Walbaum, 1792 --> Chilomycterus schoepfii (Walbaum, 1792)
Diodon sexmaculatus Cuvier, 1818 --> Diodon holocanthus Linnaeus, 1758
Diodon spinosissimus Cuvier, 1818 --> Diodon hystrix Linnaeus, 1758
Diodon spinosus Linnaeus, 1758 --> Chilomycterus spinosus spinosus (Linnaeus, 1758)
Diodon tigrinus Cuvier, 1818 --> Chilomycterus reticulatus (Linnaeus, 1758)
Diodon totara Curtiss, 1938 --> Diodon hystrix Linnaeus, 1758
|
|
Aal-artige, Anemonen, Anemonenfische, Anglerfische, Barrakudas, Büschelbarsche, Doktorfische, Drückerfische, Falterfische, Garnelen & Co., Geisterpfeifenfische,
Großbarsche, Haie, Hummer, Igelfische,
Kaiserfische, Kofferfische, Korallen, Krabben und Krebse, Kugelfische, Langusten, Lippfische, Meerbarben, Meeresschildkröten, Muränen, Muscheln, Nacktschnecken, Papageifische, Plattfische, Quallen, Riffbarsche, Ritterfische, Robben, Rochen, Schnapper, Schwämme, Seelöwen,
Seenadeln, Seepferdchen, Süsslippen, Seesterne, Skorpionsfische, Soldatenfische, Wale, Welse, Wimpelfische , Würmer
|
|
 |
Diese Seite lebt von der Mithilfe ihrer Nutzer!
Über Bilder noch fehlender Fischarten oder anderer Riffbewohner sowie über ergänzende Informationen und Hilfe bei der Identifizierung mir unbekannter Spezies (klicke hier) würde ich mich sehr freuen! Ganz einfach eine eMail an info@easydive24.de, ich melde mich dann schnellstmöglich!
|
Hinweis
Alle auf dieser Seite aufgeführten Arten wurden nach bestem Wissen und Gewissen bestimmt. Sollte sich ein Fehler eingeschlichen haben, würde ich mich über eine kurze Info freuen. [mehr]
|
Was ist das?
Haben Sie Schwierigkeiten bei einer Identifizierung? Senden Sie uns ein Foto an info[at]easydive24.de und wir werden es hier veröffentlichen. Vielleicht erhalten Sie schon bald eine Antwort auf ihre Frage.
[mehr]
|
|
|