 |
DOKTORFISCHE
>Systematik
Unterklasse: Strahlenflosser (Actinopterygii)
Teilklasse: Echte Knochenfische (Teleostei)
Überordnung: Stachelflosser (Acanthopterygii)
Ordnung: Barschartige (Perciformes)
Unterordnung: Doktorfischartige (Acanthuroidei)
Familie: Doktorfische
>Wissenschaftlicher Name:
Acanthuridae (Rafinesque, 1810)
|
|
Das könnte Sie interessieren:
|
|
Doktorfische
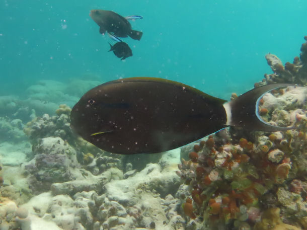
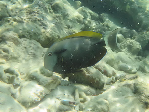
Achselklappen-Doktorfisch (Acanthurus nigricauda)
Systematik
| Klasse |
Überordnung |
Ordnung |
Unterordnung |
Familie |
| ACTINOPTERYGII |
ACANTHOPTERYGII (Stachelflosser) |
PERCIFORMES (Barschartige) |
ACANTHUROIDEI (Doktorfischartige) |
ACANTHURIDAE (Doktorfische) |
| Wissenschaftlicher Name: |
Acanthurus nigricauda (Duncker & Mohr, 1929) |
|
|
Allgemeine Informationen
| Namen: |
Achselklappen-Doktorfisch, Schulterklappen-Doktorfisch (D), Epaulette Surgeonfish (UK) |
| Vorkommen: |
Indischer Ozean, Südostasien |
| Lebensraum: |
im Flachwasser rund um Korallenriffe |
| Größe: |
40 cm |
|
|
Beschreibung
|
Der Achselklappen-Doktorfisch (Acanthurus nigricauda), auch Schulterklappen-Doktor genannt, ist eine Art aus der Familie der Doktorfische. Wie alle Doktorfischarten hat der Weißkehl-Doktorfisch einen hochrückigen, seitlich abgeflachten Körper. Der Name "Doktorfisch" ist auf die messerscharfen Stacheln der Schwanzwurzel zurückzuführen, die auch als Skalpell bezeichnet werden.
|
|
|
Doktorfisch-Arten
 |
|
 |
>Acanthurinae / Skalpelldoktorfische
Prionurus (Sägedoktorfische)
Prionurus biafraensis (Afrika-Doktorfisch)
Prionurus chrysurus
Prionurus laticlavius (Galapagos-Doktorfisch)
Prionurus maculatus (Gefleckter Doktorfisch)
Prionurus microlepidotus
Prionurus punctatus (Punktierter Doktorfisch)
Prionurus scalprum
Amblycirrhitus unimacula
Paracanthurus (Paletten-Doktorfische)
Paracanthurus hepatus (Paletten-Doktorfisch)
Zebrasoma (Segelflossen-Doktorfische)
Zebrasoma desjardinii (Indischer Segelflossendoktor)
Zebrasoma flavescens (Gelber Segelflossendoktor)
Zebrasoma gemmatum (Mauritius-Segelflossendoktor)
Zebrasoma rostratum (Schwarzer Segelflossendoktor)
Zebrasoma scopas (Weißdorn-Segelflossendoktor)
Zebrasoma veliferum (Östlicher Segelflossendoktor)
Zebrasoma xanthurum (Blauer Segelflossendoktor)
Acanthurus (Echte Doktorfische)
Acanthurus achilles (Achilles-Doktorfisch)
Acanthurus albipectoralis
Acanthurus auranticavus
Acanthurus bahianus (Ozean-Doktorfisch)
Acanthurus bariene
Acanthurus blochii
Acanthurus chirurgus (Streifen-Doktorfisch)
Acanthurus chronixis
Acanthurus coeruleus (Blauer Doktorfisch)
Acanthurus dussumieri (Augenstreifen-Doktorfisch)
Acanthurus fowleri
Acanthuru gahm (Mönchs-Doktorfisch)
Acanthurus grammoptilus
Acanthurus guttatus
Acanthurus japonicus (Japanischer Doktorfisch)
Acanthurus leucocheilus (Weißkehl-Doktorfisch)
Acanthurus leucopareius
Acanthurus lineatus (Blaustreifen-Doktorfisch)
Acanthurus maculiceps
Acanthurus mata
Acanthurus monroviae
Acanthurus nigricans
Acanthurus nigricauda (Schulterklappen-Doktorfisch)
Acanthurus nigroris
Acanthurus randalli
Acanthurus nubilus
Acanthurus olivaceus (Orangefleck-Doktorfisch)
Acanthurus polyzona
Acanthurus pyroferus (Schokoladen-Doktorfisch)
Acanthurus sohal (Arabischer Doktorfisch)
Acanthurus tennenti (Kreisdorn-Doktorfisch)
Acanthurus thompsoni
Acanthurus triostegus (Sträflings-Doktorfisch)
Acanthurus tristis
Acanthurus xanthopterus
Ctenochaetus (Borstenzahndoktorfische)
Ctenochaetus binotatus (Blauaugen-Borstenzahndoktorfisch)
Ctenochaetus cyanocheilus (Balulippen-Borstenzahndoktorfisch)
Ctenochaetus flavicauda
Ctenochaetus hawaiiensis (Hawaii-Borstenzahndoktor)
Ctenochaetus marginatus (Blaufleck-Borstenzahndoktor)
Ctenochaetus striatus (Streifen-Borstenzahndoktor)
Ctenochaetus strigosus (Goldring-Borstenzahndoktor)
Ctenochaetus tominiensis (Tomini-Borstenzahndoktor)
Ctenochaetus truncatus (Indischer Goldringdoktor)
>Nasinae / Nasendoktorfische
Naso annulatus (Weißband-Nashornfisch)
Naso annulatus (Weißband-Nashornfisch)
Naso brevirostris (Langnasen-Nasendoktorfisch)
Naso caeruleacauda (Blauschwanz-Nasendoktorfisch)
Naso caesius (Schwarzlippen-Nasendoktor)
Naso hexacanthus (Blauklingen-Nasendoktorfisch)
Naso lopezi (Lopez-Nasendoktorfisch)
Naso maculatus (Gefleckter Nasendoktorfisch)
Naso minor (Kleiner Nasendoktorfisch)
Naso thynnoides (Einplatten-Nasendoktorfisch)
Naso vlamingi Masken-Nasendoktorfisch)
Naso brachycentrodon (Buckelnasen-Doktorfisch)
Naso fangeni (Pferdekopf-Nasendoktorfisch)
Naso lituratus Gelbklingen-Nasendoktorfisch)
Naso tuberosus (Buckelnasen-Nasendoktorfisch)
Naso unicornis (Blauklingen-Nasendoktorfisch)
|
|
Aal-artige, Anemonen, Anemonenfische, Anglerfische, Barrakudas, Büschelbarsche, Doktorfische, Drückerfische, Falterfische, Garnelen & Co., Geisterpfeifenfische,
Großbarsche, Haie, Hummer, Igelfische,
Kaiserfische, Kofferfische, Korallen, Krabben und Krebse, Kugelfische, Langusten, Lippfische, Meerbarben, Meeresschildkröten, Muränen, Muscheln, Nacktschnecken, Papageifische, Plattfische, Quallen, Riffbarsche, Ritterfische, Robben, Rochen, Schnapper, Schwämme, Seelöwen,
Seenadeln, Seepferdchen, Süsslippen, Seesterne, Skorpionsfische, Soldatenfische, Wale, Welse, Wimpelfische , Würmer
|
|
 |
Diese Seite lebt von der Mithilfe ihrer Nutzer!
Über Bilder noch fehlender Fischarten oder anderer Riffbewohner sowie über ergänzende Informationen und Hilfe bei der Identifizierung mir unbekannter Spezies (klicke hier) würde ich mich sehr freuen! Ganz einfach eine eMail an info@easydive24.de, ich melde mich dann schnellstmöglich!
|
Hinweis
Alle auf dieser Seite aufgeführten Arten wurden nach bestem Wissen und Gewissen bestimmt. Sollte sich ein Fehler eingeschlichen haben, würde ich mich über eine kurze Info freuen. [mehr]
|
Was ist das?
Haben Sie Schwierigkeiten bei einer Identifizierung? Senden Sie uns ein Foto an info[at]easydive24.de und wir werden es hier veröffentlichen. Vielleicht erhalten Sie schon bald eine Antwort auf ihre Frage.
[mehr]
|
|
|