Lippfische
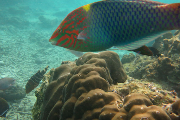
Schachbrett-Junker (Halichoeres hortulanus)
Systematik
| Klasse |
Teilklasse |
Ordnung |
Unterordnung |
Familie |
| ACTINOPTERYGII (Strahlenflosser) |
TELEOSTEI (E.Knochenfische) |
PERCIFORMES (Barschartige) |
LABROIDEI (Lippfischartige) |
LABRIDAE (Lippfische) |
| Wissenschaftlicher Name: |
Halichoeres hortulanus (Lacepède, 1801) |
| Synonyme: |
Halichoeres centiquadrus (Lacepède, 1801), Halichoeres centriquadrus (Lacepède, 1801), Halichoeres hortulanus centiquadrus (Lacepède, 1801), Labrus centiquadrus (Lacepède, 1801), Labrus hortulanus (Lacepède, 1801) |
|
|
Allgemeine Informationen
| Namen: |
Schachbrett-Junker (D), Checkerboard wrasse (E) |
| Vorkommen: |
Indopazifik, Rotes Meer, Südafrika, Japan, Australien, Französisch Polynesien |
| Lebensraum: |
Sandflächen |
| Größe: |
25-27 cm |
|
|
Beschreibung
|
Der Schachbrett-Junker (Halichoeres hortulans) ist mit einer Länge von bis zu 27 cm ein großer Vertreter der Lippfischfamilie. Sein Verbreitungsgebiet erstreckt sich vom Roten Meer entlang der afrikanischen Küste bis nach Südafrika, den Indischen Ozean bis zum Pazifik von Japan nach Australien und Französisch Polynesien. Schachbrett-Junker sind Einzelgänger. Sie bevorzugen Sandflächen und buddeln sich nachts darin ein.
|
|
|
Arten der Gattung Halichoeres
 |
|
 |
Halichoeres adustus (Gilbert, 1890)
Halichoeres aestuaricola (Bussing, 1972)
Halichoeres argus (Bloch & Schneider, 1801)
Halichoeres bathyphilus (Beebe & Tee-Van, 1932)
Halichoeres bicolor (Bloch & Schneider, 1801)
Halichoeres binotopsis (Bleeker, 1849)
Halichoeres biocellatus Schultz, 1960
Halichoeres bivittatus (Bloch, 1791)
Halichoeres bleekeri (Steindachner & Döderlein, 1887)
Halichoeres brasiliensis (Bloch, 1791)
Halichoeres brownfieldi (Whitley, 1945)
Halichoeres burekae Weaver & Rocha, 2007
Halichoeres caudalis (Poey, 1860)
Halichoeres chierchiae Di Caporiacco, 1948
Halichoeres chlorocephalus Kuiter & Randall, 1995
Halichoeres chloropterus (Bloch, 1791)
Halichoeres chrysus Randall, 1981
Halichoeres claudia Randall & Rocha, 2009
Halichoeres cosmetus Randall & Smith, 1982
Halichoeres cyanocephalus (Bloch, 1791)
Halichoeres dimidiatus (Agassiz, 1831)
Halichoeres discolor Bussing, 1983
Halichoeres dispilus (Günther, 1864)
Halichoeres garnoti (Valenciennes, 1839)
Halichoeres girardi (Bleeker, 1859)
Halichoeres hartzfeldii (Bleeker, 1852)
Halichoeres hortulanus (Lacepède, 1801)
Halichoeres insularis Allen & Robertson, 1992
Halichoeres iridis Randall & Smith, 1982
Halichoeres kallochroma (Bleeker, 1853)
Halichoeres lapillus Smith, 1947
Halichoeres leptotaenia Randall & Earle, 1994
Halichoeres leucoxanthus Randall & Smith, 1982
Halichoeres leucurus (Walbaum, 1792)
Halichoeres maculipinna (Müller & Troschel, 1848)
Halichoeres malpelo Allen & Robertson, 1992
Halichoeres margaritaceus (Valenciennes, 1839)
Halichoeres marginatus Rüppell, 1835
Halichoeres melanochir Fowler & Bean, 1928
Halichoeres melanotis (Gilbert, 1890)
Halichoeres melanurus (Bleeker, 1851)
Halichoeres melas Randall & Earle, 1994
Halichoeres melasmapomus Randall, 1981
Halichoeres miniatus (Valenciennes, 1839)
Halichoeres nebulosus (Valenciennes, 1839)
Halichoeres nicholsi (Jordan & Gilbert, 1882)
Halichoeres nigrescens (Bloch & Schneider, 1801)
Halichoeres notophthalmus (Blkr., 1856)
Halichoeres notospilus (Günther, 1864)
Halichoeres orientalis Randall, 1999
Halichoeres ornatissimus (Garrett, 1863)
Halichoeres pallidus Kuiter & Randall, 1995
Halichoeres papilionaceus (Valenciennes, 1839)
Halichoeres pardaleocephalus (Bleeker, 1849)
Halichoeres pelicieri Randall & Smith, 1982
Halichoeres penrosei Starks, 1913
Halichoeres pictus (Poey, 1860)
Halichoeres podostigma (Bleeker, 1854)
Halichoeres poeyi (Steindachner, 1867)
Halichoeres prosopeion (Bleeker, 1853)
Halichoeres purpurescens (Bloch & Schneider, 1801)
Halichoeres radiatus (Linnaeus, 1758)
Halichoeres raisneri Baldwin & McCosker, 2001
Halichoeres richmondi Fowler & Bean, 1928
Halichoeres rubricephalus Kuiter & Randall, 1995
Halichoeres salmofasciatus Allen & Robertson, 2002
Halichoeres sazimai Luiz, Ferreira & Rocha, 2009
Halichoeres scapularis (Bennett, 1832)
Halichoeres semicinctus (Ayres, 1859)
Halichoeres signifer Randall & Earle, 1994
Halichoeres socialis Randall & Lobel, 2003
Halichoeres solorensis (Bleeker, 1853)
Halichoeres stigmaticus Randall & Smith, 1982
Halichoeres tenuispinis (Günther, 1862)
Halichoeres timorensis (Bleeker, 1852)
Halichoeres trimaculatus (Quoy & Gaimard, 1834)
Halichoeres trispilus Randall & Smith, 1982
Halichoeres vrolikii (Bleeker, 1855)
Halichoeres zeylonicus (Bennett, 1833)
Halichoeres zulu Randall & King, 2010
Halichoeres annulatus Fowler, 1904 --> Halichoeres miniatus (Valenciennes, 1839)
Halichoeres bimaculatus Rüppell, 1835 --> Halichoeres zeylonicus (Bennett, 1833)
Halichoeres bleekeri Günther, 1861 --> Halichoeres chloropterus (Bloch, 1791)
Halichoeres californicus Günther, 1861 --> Oxyjulis californica (Günther, 1861)
Halichoeres centiquadrus (Lacepède, 1801) --> Halichoeres hortulanus (Lacepède, 1801)
Halichoeres centriquadrus (Lacepède, 1801) --> Halichoeres hortulanus (Lacepède, 1801)
Halichoeres chrysotaenia (Bleeker, 1853) --> Halichoeres melanurus (Bleeker, 1851)
Halichoeres cyanopleura (Bleeker, 1853) --> Leptojulis cyanopleura (Bleeker, 1853)
Halichoeres daedalma Jordan & Seale, 1906 --> Halichoeres margaritaceus (Valenciennes, 1839)
Halichoeres dianthus Smith, 1947 --> Halichoeres nigrescens (Bloch & Schneider, 1801)
Halichoeres dussumieri (Valenciennes, 1839) --> Halichoeres nigrescens (Bloch & Schneider, 1801)
Halichoeres fasciatus (Bloch, 1792) --> Hemigymnus fasciatus (Bloch, 1792)
Halichoeres fijiensis Herre, 1935 --> Halichoeres argus (Bloch & Schneider, 1801)
Halichoeres gymnocephalus (Bloch & Schneider, 1801) --> Halichoeres chloropterus (Bloch, 1791)
Halichoeres hardzfeldi (Bleeker, 1852) --> Halichoeres hartzfeldii (Bleeker, 1852)
Halichoeres hartzfeldi (Bleeker, 1852) --> Halichoeres hartzfeldii (Bleeker, 1852)
Halichoeres hoeveni (Bleeker, 1851) --> Halichoeres melanurus (Bleeker, 1851)
Halichoeres hoevenii (Bleeker, 1851) --> Halichoeres melanurus (Bleeker, 1851)
Halichoeres horsfieldi (Valenciennes, 1839) --> Labracinus cyclophthalmus (Müller & Troschel, 1849)
Halichoeres hortulans (Lacepède, 1801) --> Halichoeres hortulanus (Lacepède, 1801)
Halichoeres hyrtli (Bleeker, 1856) --> Halichoeres bicolor (Bloch & Schneider, 1801)
Halichoeres hyrtlii (Bleeker, 1856) --> Halichoeres bicolor (Bloch & Schneider, 1801)
Halichoeres ianthinus Fourmanoir, 1955 --> Halichoeres marginatus Rüppell, 1835
Halichoeres irideus Starks, 1913 --> Halichoeres brasiliensis (Bloch, 1791)
Halichoeres javanicus (Bleeker, 1857) --> Halichoeres nigrescens (Bloch & Schneider, 1801)
Halichoeres kawarin (Bleeker, 1852) --> Halichoeres timorensis (Bleeker, 1852)
Halichoeres kneri Bleeker, 1862 --> Halichoeres nigrescens (Bloch & Schneider, 1801)
Halichoeres leparensis (Bleeker, 1852) --> Halichoeres argus (Bloch & Schneider, 1801)
Halichoeres leucostigma Fowler & Bean, 1928 --> Halichoeres nigrescens (Bloch & Schneider, 1801)
Halichoeres macleayi Jordan & Seale, 1906 --> Xenojulis margaritaceus (Macleay, 1883)
Halichoeres maculipinnis (Müller & Troschel, 1848) --> Halichoeres maculipinna (Müller & Troschel, 1848)
Halichoeres margariaceus (Valenciennes, 1839) --> Halichoeres margaritaceus (Valenciennes, 1839)
Halichoeres margaritaceous (Valenciennes, 1839) --> Halichoeres margaritaceus (Valenciennes, 1839)
Halichoeres melapterus (Bloch, 1791) --> Hemigymnus melapterus (Bloch, 1791)
Halichoeres modestus (Bleeker, 1847) --> Halichoeres chloropterus (Bloch, 1791)
Halichoeres multicolor Rüppell, 1835 --> Coris caudimacula (Quoy & Gaimard, 1834)
Halichoeres nafae Tanaka, 1908 --> Halichoeres margaritaceus (Valenciennes, 1839)
Halichoeres nebulosa (Valenciennes, 1839) --> Halichoeres nebulosus (Valenciennes, 1839)
Halichoeres nigriscens (Bloch & Schneider, 1801) --> Halichoeres nigrescens (Bloch & Schneider, 1801)
Halichoeres nigropunctatus Seale, 1901 --> Macropharyngodon meleagris (Valenciennes, 1839)
Halichoeres notopsis (Valenciennes, 1839) --> Halichoeres marginatus Rüppell, 1835
Halichoeres poecilopterus (Richardson, 1846) --> Parajulis poecilepterus (Temminck & Schlegel, 1845)
Halichoeres poecilopterus (Temminck & Schlegel, 1845) --> Parajulis poecilepterus (Temminck & Schlegel, 1845)
Halichoeres prosopein (Bleeker, 1853) --> Halichoeres prosopeion (Bleeker, 1853)
Halichoeres purpurascens (Bloch & Schneider, 1801) --> Halichoeres purpurescens (Bloch & Schneider, 1801)
Halichoeres reichei (Bleeker, 1858) --> Halichoeres nebulosus (Valenciennes, 1839)
Halichoeres scalpularis (Bennett, 1832) --> Halichoeres scapularis (Bennett, 1832)
Halichoeres schwartzii (Bleeker, 1847) --> Halichoeres papilionaceus (Valenciennes, 1839)
Halichoeres sebae Kner, 1860 --> Stethojulis trilineata (Bloch & Schneider, 1801)
Halichoeres tenuispinnis Günther, 1862 --> Halichoeres tenuispinis (Günther, 1862)
Halichoeres tremebundus Jordan & Snyder, 1902 --> Halichoeres bleekeri (Steindachner & Döderlein, 1887)
Halichoeres trilineata (Bloch & Schneider, 1801) --> Stethojulis trilineata (Bloch & Schneider, 1801)
Halichoeres variegatus Rüppell, 1835 --> Coris variegata (Rüppell, 1835)
Halichoeres virescens Fourmanoir & Guézé, 1961 --> Halichoeres marginatus Rüppell, 1835
Halichoeres xanti (Károli, 1882) --> Halichoeres bicolor (Bloch & Schneider, 1801)
Halichoeres zeylanicus (Bennett, 1833) --> Halichoeres zeylonicus (Bennett, 1833)
|
|
Aal-artige, Anemonen, Anemonenfische, Anglerfische, Barrakudas, Büschelbarsche, Doktorfische, Drückerfische, Falterfische, Garnelen & Co., Geisterpfeifenfische,
Großbarsche, Haie, Hummer, Igelfische,
Kaiserfische, Kofferfische, Korallen, Krabben und Krebse, Kugelfische, Langusten, Lippfische, Meerbarben, Meeresschildkröten, Muränen, Muscheln, Nacktschnecken, Papageifische, Plattfische, Quallen, Riffbarsche, Ritterfische, Robben, Rochen, Schnapper, Schwämme, Seelöwen,
Seenadeln, Seepferdchen, Süsslippen, Seesterne, Skorpionsfische, Soldatenfische, Wale, Welse, Wimpelfische , Würmer
|
|
 |
Diese Seite lebt von der Mithilfe ihrer Nutzer!
Über Bilder noch fehlender Fischarten oder anderer Riffbewohner sowie über ergänzende Informationen und Hilfe bei der Identifizierung mir unbekannter Spezies (klicke hier) würde ich mich sehr freuen! Ganz einfach eine eMail an info@easydive24.de, ich melde mich dann schnellstmöglich!
|
Hinweis
Alle auf dieser Seite aufgeführten Arten wurden nach bestem Wissen und Gewissen bestimmt. Sollte sich ein Fehler eingeschlichen haben, würde ich mich über eine kurze Info freuen. [mehr]
|
Was ist das?
Haben Sie Schwierigkeiten bei einer Identifizierung? Senden Sie uns ein Foto an info[at]easydive24.de und wir werden es hier veröffentlichen. Vielleicht erhalten Sie schon bald eine Antwort auf ihre Frage.
[mehr]
|
|
|