|
Von: Timo R. (Eingetragen am: 02.07.2017 um 20:59 Uhr)
Hallo,
ich war im Mai in Hurghada im Urlaub und das erste Mal in meinem Leben schnorcheln =) Ich habe auch sehr viele Fotos gemacht und möchte gern wissen, welche Fische ich fotografiert habe. Die meisten konnte ich auch mühelos bestimmen, aber einige habe ich nicht genau zuordnen können. Ich schicke euch die Bilder im Anhang. Vielleicht könnt Ihr mir weiterhelfen und sagen, wie die Fische heißen. Ich würde mich sehr freuen. Ich hoffe, die Bilder sind von ausreichender Qualität. Auf meinem Handy sehen sie iwie besser aus… :/
Ich danke schon mal im Voraus
LG Timo R.
|
|
Von: Steven (Eingetragen am: 04.07.2017 um 02:06 Uhr)
Hallo Timo,
ich bin derzeit unterwegs, kann also nicht alle Fische sofort bestimmen.
Anbei, eine erste Info:
1) Preussenfische
2) Brandbrassen
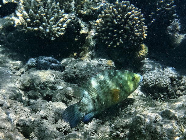
3) schwer zu erkennen
4) Gestreifer Sergeantfisch und Falterfisch oder juv. Doktorfisch
5) Sergeantfische
6) Eichhörnchenfische
7) Preussenfisch
8) eine Mojarra Art
9) Weißtüpfel-Kofferfisch
Wenn ich wieder zuhause bin, schaue ich mir die fehlenden Gesellen noch mal genauer an und schicke dir die Info, um welche Arten es sich handelt.
Schöne Grüsse aus Florida, Steven/easydive24.de
|
|
Aal-artige, Anemonen, Anemonenfische, Anglerfische, Barrakudas, Büschelbarsche, Doktorfische, Drückerfische, Falterfische, Garnelen & Co., Geisterpfeifenfische,
Großbarsche, Haie, Hummer, Igelfische,
Kaiserfische, Kofferfische, Korallen, Krabben und Krebse, Kugelfische, Langusten, Lippfische, Meerbarben, Meeresschildkröten, Muränen, Muscheln, Nacktschnecken, Papageifische, Plattfische, Quallen, Riffbarsche, Ritterfische, Robben, Rochen, Schnapper, Schwämme, Seelöwen,
Seenadeln, Seepferdchen, Süsslippen, Seesterne, Skorpionsfische, Soldatenfische, Wale, Welse, Wimpelfische , Würmer
|
|
 |
Diese Seite lebt von der Mithilfe ihrer Nutzer!
Über Bilder noch fehlender Fischarten oder anderer Riffbewohner sowie über ergänzende Informationen und Hilfe bei der Identifizierung mir unbekannter Spezies (klicke hier) würde ich mich sehr freuen! Ganz einfach eine eMail an info@easydive24.de, ich melde mich dann schnellstmöglich!
|
Hinweis
Alle auf dieser Seite aufgeführten Arten wurden nach bestem Wissen und Gewissen bestimmt. Sollte sich ein Fehler eingeschlichen haben, würde ich mich über eine kurze Info freuen. [mehr]
|
Was ist das?
Haben Sie Schwierigkeiten bei einer Identifizierung? Senden Sie uns ein Foto an info[at]easydive24.de und wir werden es hier veröffentlichen. Vielleicht erhalten Sie schon bald eine Antwort auf ihre Frage.
[mehr]
|
|
|