Südwestlich der Bahamas-Inseln liegen die Turks- und Caicosinseln. Das britische Überseegebiet besteht aus acht größeren Inseln und vielen kleinen Cays. Früher waren sie ein beliebtes Piratenversteck, weshalb noch heute rund um die Inseln Reichtümer versteckt im Wasser vermutet werden (und auch schon gefunden wurden!). Aber nicht nur deshalb sind die Turks- und Caicosinseln bei Tauchern beliebt. Die vorgelagerten Korallenriffe, das kristallklare Wasser und die weißen Strände machen die Turks & Caicosinseln zu einem der schönsten Tauchgebiete der Welt.
|
|
|
 |
|
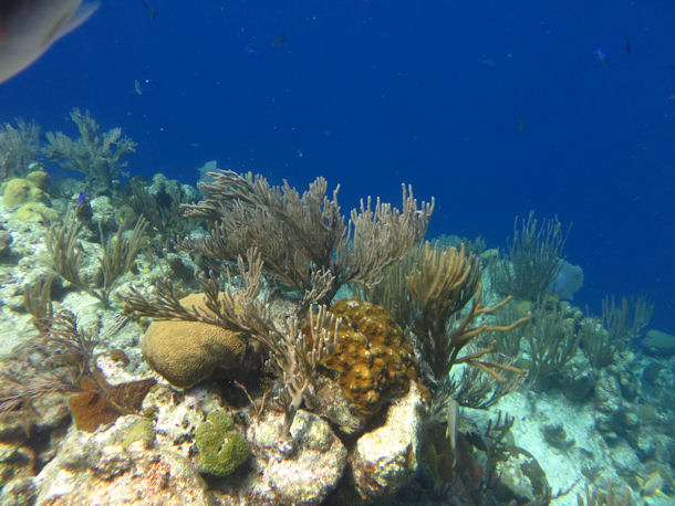
Steilwandtauchen an der Grand Turk Wall
Vor allem die Grand Turk Wall ist ein beliebtes Tauchgebiet. Sie gehört zu den besten Steilwandtauchplätzen der Welt. Das Drop-Off erstreckt sich entlang der Westseite der Insel. Bei Tauchern beliebt sind auch der südöstlich gelegene White Sands Beach und der Osprey Beach an der Westküste. Zwischen Strand und Drop-Off befindet sich ein Korallensaum. Direkt vom Strand aus gelangt man mit wenigen Flossenschlägen zu den Riffen. Klares, warmes Wasser und geringe bis keine Strömung ermöglichen unbeschwerte Tauchgänge. Juwelenzackenbarsche, Gelbstreifen-Grunzer, bunte Papageifische, blaue Doktorfische und Kofferfische sowie Schmetterlingsfische sind häufig anzutreffen.
|
|
An einem vor Osprey Beach vorgelagerten Riff wurde mir sogar eine Haigarantie gegeben. Und tatsächlich traf ich auf einen mittelgroßen Ammenhai. 3 dieser zahmen Räuber sollen sich dort regelmäßig aufhalten.
|
|
Nur 400 m vom Strand entfernt fällt die Wand dann bis auf eine Tiefe von 2.300 m ab. Man kann die Steilwand nicht verfehlen. Die Wasseroberfläche verfärbt sich hier vom hellen Türkis ins tiefe Dunkelblau. Die Sichtweiten betragen bis zu 60 m! Es ist ein herrliches Gefühl entlang der Wand zu tauchen. Am Riff lassen sich zahlreiche Fische und andere Meeresbewohner wie Schildkröten und Delphine beobachten. In den Wintermonaten kann man hier sogar auf Buckelwale treffen. Es lohnt sich also ab und zu ins Freiwasser zu schauen.
|
|
Die Stechrochen von Gibb´s Cay
Etwa eineinhalb Kilometer südöstlich von Grand Turk Island liegt die kleine Insel Gibb´s Cay. An dieser flachen Insel tummeln sich viele Amerikanische Stechrochen (auch: Südlicher Stechrochen, engl. Southern Stingray; Dasyatis americana).
|
|
Bereits bei der Ankunft sieht man die dunklen Schatten der Rochen auf dem hellen Sand im türkisblauen Wasser. Die Tiere nähern sich ohne Scheu den Besuchern. Es ist ein unglaubliches Gefühl die Tiere so hautnah zu erleben. Permanent schwimmen sie herum und rammen manchmal die Besucher sanft. Sie sind offensichtlich durch tägliches Anfüttern handzahm geworden. Das Schwimmen mit den Stechrochen von Gibb´s Cay ist ein unvergessliches Erlebnis.
|
|
Nahezu alle lokalen Anbieter auf Grand Turk bieten Ausfahrten zu der Rocheninsel an. Allerdings sollte man bei der Wahl des Anbieters darauf achten, dass man nur mit einer kleinen Gruppe die Insel besucht. Denn es fahren auch „Touristencontainer“ mit Dutzenden von „Schnorchlern“ Gibb´s Cay an. Ein derartiger Massenausflug trübt das Naturerlebnis ungemein. Ich habe meinen Ausflug bei White Sands Charters N Tours gebucht und war von der Betreuung positiv überrascht. Auch die Gruppengröße war mit 6 Personen überschaubar.
|
 |
|
Im Zeichen der Schnecke
Das Wappen und die Flagge der Turks- und Caicosinseln ziert neben dem Karibischen Hummer und dem Caicos-Kaktus die Große Fechterschnecke (auch: Riesenflügelschnecke, engl. Conch; Lobatus gigas, Syn. Eustrombus gigas). Diese Meeresschneckenart ist mit über 30 cm der größte Vertreter der Fechterschnecken und eine der größten Schneckenarten überhaupt. Man findet sie auf den Sandflächen und Seegraswiesen rund um die Inseln. Ihr Fleisch ist äußerst schmackhaft, weshalb die Schnecke gern gesammelt wird. Die Art gilt als stark gefährdet und steht unter Artenschutz.
|
|
Wissenswertes: Am 20. Februar 1962 landete die Kapsel von John Glenn, dem ersten Amerikaner auf einer Erdumlaufbahn, in den südlichen Gewässern von Grand Turk Island. Teile dieser legendären Friendship-7- Sonde sind heute in Cockburn Town, der Hauptstadt der Turks & Caicosinseln, zu sehen. Auch der Astronaut Scott Carpenter wurde nach seiner Wasserlandung auf die Insel gebracht.
|
|
Dschungeltaucher – Zu Gast bei den Buntbarschen Yucatans
Yucatan – das sind dschungelüberwucherte Tempelanlagen und herrliche Natur- und Tauchparadiese. Taucher aus aller Welt schätzen die berühmten Korallenriffe. Nahezu unbeachtet bleiben dagegen die Flüsse, Seen und großen Sumpfgebiete. Sie sind ein Paradies für Wasservögel, Frösche, Reptilien, wasserlebende Säuger und vor allem ein einzigartiger Lebensraum für Süßwasserfische. Wenn sie trotz ihrer Formenvielfalt, ihrer Eigentümlichkeiten und ihrer Farbenpracht bei den meisten Mexiko-Tauchtouristen viel weniger Aufsehen erregen als die Rifffische, so liegt der Grund wohl darin, dass die Süßwassergebiete schwerer zugänglich sind, als die der Küste vorgelagerten Korallenriffe. Dichter Dschungel, Savanne und weite Sumpfgebiete schnitten Yucatán jahrhundertelang vom übrigen Mexiko ab.
[mehr]
|
|
|
|
Unweit der Festungsanlage San Christóbal fand ich beim Schnorcheln ein einen länglichen Gegenstand. Bei näherer Betrachtung erkannte ich, dass es sich nicht um einen Stein, sondern um ein altes Geschütz handelte, wahrscheinlich eine kleine Kanone. Auf dem Mündungsbereich befand sich ein Schneckengehäuse, so dass es zunächst nicht zu erkennen war. Als ich die Schnecke ablösen wollte, um die Kanone näher zu untersuchen, streckte mir ein Oktopus sein Gesicht entgegen und hielt das Gehäuse mit einem Tentakel fest.
[mehr]
|
|
|